REQUEST A TOUR If you would like to see this home without being there in person, select the "Virtual Tour" option and your advisor will contact you to discuss available opportunities.
In-PersonVirtual Tour

Listed by Kristen Maley • Landcore Realty
$8,950
Est. payment /mo
12,632 SqFt
UPDATED:
Key Details
Property Type Vacant Land
Sub Type Unimproved Land
Listing Status Active
Purchase Type For Sale
Square Footage 12,632 sqft
Price per Sqft $0
MLS Listing ID CRHD25117485
HOA Y/N No
Lot Size 0.290 Acres
Property Sub-Type Unimproved Land
Source Datashare California Regional
Property Description
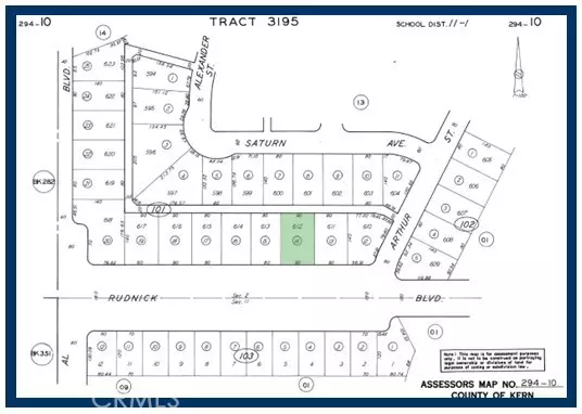
Financing Available! Lot 612 Map 3195, 0.29 Ac, (Apn: 294-101-14-000) GPS: 35.170686, -117.771000 on Rudnick Blvd in California City, CA. California City is in northern Antelope Valley in Kern County. The owner will finance with $3,000 down, a First Trust Deed of $5,950 at 8% interest for 2 years. Monthly payments are $269.10. California City has zoned this property as RM1/MR2 Multiple Family Residential. According to the City the following uses are permitted: Single Family Dwellings, multiple family dwellings, riding stables, corrals and animal keeping. No utilities are currently available to this lot. Electricity is approximately 1.8 miles north. Please check with the City for water and sewer distance.
Location
State CA
County Kern
Interior
Fireplace No
Exterior
View Valley
Building
Water None
Read Less Info

© 2025 BEAR, CCAR, bridgeMLS. This information is deemed reliable but not verified or guaranteed. This information is being provided by the Bay East MLS or Contra Costa MLS or bridgeMLS. The listings presented here may or may not be listed by the Broker/Agent operating this website.
GET MORE INFORMATION
